Huracán Humberto se intensifica a categoría 4 en el Atlántico

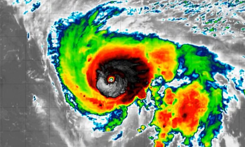
El huracán Humberto alcanzó este sábado 27 de septiembre la categoría 4 en la escala Saffir-Simpson mientras avanza por aguas abiertas del Atlántico. El fenómeno meteorológico presenta vientos sostenidos superiores a los 220 kilómetros por hora y un desplazamiento constante hacia el noroeste, lo que ha encendido las alarmas en varios países de la región.
Las autoridades de Bahamas y Bermudas han emitido advertencias de tormenta tropical y huracán, ante la posibilidad de marejadas ciclónicas y lluvias torrenciales en las próximas 48 horas. Aunque el centro del ciclón aún se encuentra lejos de la costa, su amplia extensión amenaza con generar oleaje elevado y fuertes corrientes marinas en el Caribe y la costa este de Estados Unidos.
En Centroamérica, países como Honduras, Nicaragua y Belice se mantienen atentos a los efectos indirectos de Humberto, principalmente lluvias intensas que podrían provocar deslaves en zonas montañosas y crecidas repentinas de ríos.
El Centro Nacional de Huracanes informó que, de mantener su trayectoria actual, el huracán podría alcanzar la categoría 5, considerada extremadamente peligrosa. Por ello, recomendó a la población costera de las islas del Atlántico preparar planes de evacuación y resguardo inmediato.
Mientras tanto, equipos de emergencia y fuerzas armadas de diversos países se encuentran en estado de máxima alerta, listos para actuar en caso de que el fenómeno cambie su curso e impacte tierra firme.




